釣果情報

日別アーカイブ: 2024年7月2日

大分県 タイラバ ジギング 遊漁船

PXL_20240701_002546331 IMG_20240701_223201_7337月1日の釣果情報です。

7月に入ったというのに、今日は大雨予報〜!なにせ梅雨ですからぁ~
雨なのは仕方ない。雨ニモマケズ風ニモマケズ…
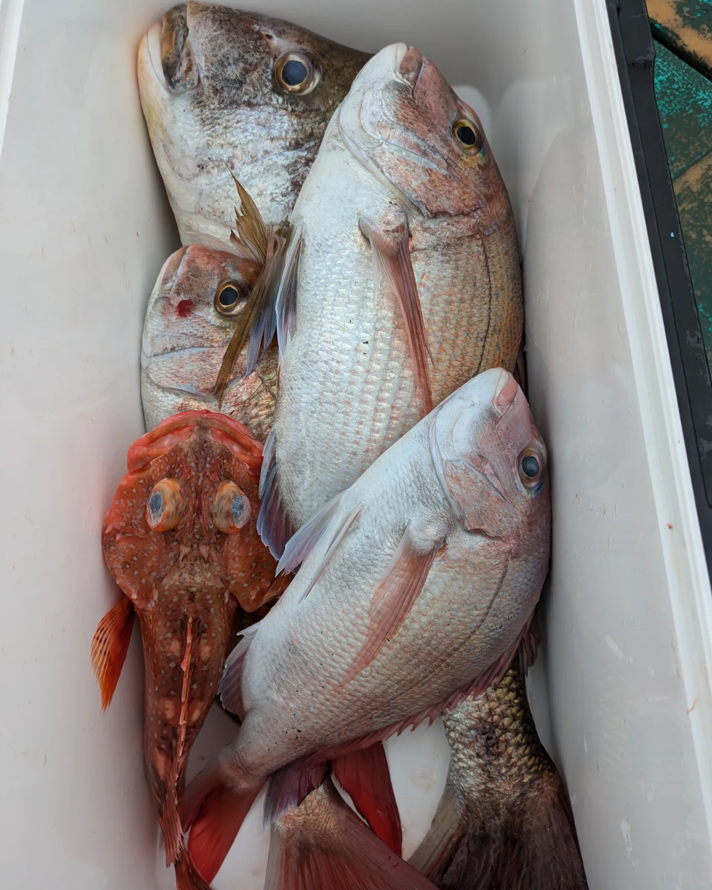
朝の内は、おお、72cmの大マダイさん筆頭に、マダイさん、ダイゴロウさん等がぽろぽろとヒット〜!
こりゃ幸先ヨシ!やっぱし海の神様は見ていて下さる!こんな大雨にも関わらず釣りに出て来たこのもの好き?達に救いの手を差し伸べて下すった〜。
と、喜んだのも束の間。
下げ潮が止まったらアタリもぴったんこと止まっちゃった•́⁠ ⁠ ⁠‿⁠ ⁠,⁠•̀アーン
こうなったらテコでも動きまへん、食いまへん(´;ω;`)
あ〜ん、どーすりゃいーのさぁ~
大雨にも苛まれて、時はいつしか終了時刻が刻一刻と迫る〜
今日の最後、まあダメモトでまきまきしていきましょう、と、そしたらここで!ナント!怒涛の!マダイさん、アタリラッシュ〜!ヤター(⁠。⁠♡⁠‿⁠♡⁠。⁠)
ところがもれなく!ナント!怒涛の!マダイさん、バラシラッシュ〜!༼⁠;⁠´⁠༎ຶ⁠ ⁠۝ ⁠༎ຶ⁠༽テンハワレワレヲミハナシタ〜
そんなこんなでありましたが、最後の最後まで今日はマダイさんのおクチ(⁠ ⁠˘⁠
⁠³⁠˘⁠)⁠は重〜く、アタリはほとんどがバードチッス!フ○ンチデコイヤーフレン○デ〜!
最後のアタリラッシュはフックアウト続出で勿体なかったけど、今日のところは出れただけ感謝、釣果あって尚感謝、というところでありましょう。
大マダイさんのお顔も拝見出来ましたし、今日逃げたヤツは必ずや次回また来てくれるでしょうと信じ、次のお楽しみと致しましょう。

今日はお疲れ様でした。